
Persicaria punctata (Dotted Smartweed) on 8-28-19, #616-7. The above photo was taken of a colony behind the chicken house.
Dotted Smartweed, Dotted Knotweed, Water Smartweed
Persicaria punctata
per-sih-KAR-ee-uh punk-TAH-tah
Synonyms of Persicaria punctata (43) (Updated on 12-31-25 from Plants of the World Online): Discolenta punctata (Elliott) Raf. (1838), Mitesia punctata (Elliott) Raf. (1837), Persicaria acris M.Gómez (1896)(nom. illeg.), Persicaria punctata var. breviciliata (Meisn.) H.Hara (1966), Persicaria punctata var. confertiflora (Meisn.) D.Löve & J.-P.Bernard (1959), Persicaria punctata var. eciliata (Small) Small (1903), Persicaria punctata var. leptostachya (Meisn.) Small (1903), Persicaria punctata var. tacubayana Nieuwl. (1913), Polygonum acre Kunth (1817)(nom. illeg.), Polygonum acre f. albiflorum Kuntze (1891), Polygonum acre var. aquatile Meisn. (1855), Polygonum acre var. brachystachyum Meisn. (1856), Polygonum acre var. breviciliatum Meisn. (1832), Polygonum acre var. confertiflorum Meisn. (1856), Polygonum acre var. leptostachyum Meisn. (1856), Polygonum acre var. riparium (Mart.) Meisn. (1855), Polygonum antihaemorrhoidale Mart. (1823), Polygonum antihaemorrhoidale f. aquatile Mart. (1828), Polygonum antihaemorrhoidale var. aquatile (Mart.) Mart. (1830), Polygonum antihaemorrhoidale f. riparium Mart. (1828), Polygonum antihaemorrhoidale var. riparium (Mart.) Mart. (1830), Polygonum distachyum Mart. ex Meisn. (1856), Polygonum eciliatum (Small) W.Stone (1911), Polygonum epilobioides Wedd. (1849), Polygonum gracilescens Mart. ex Meisn. (1856)(not validly publ.), Polygonum maritimum Vell. (1829), Polygonum punctatum Elliott (1817), Polygonum punctatum var. aquatile (Mart.) Fassett (1946), Polygonum punctatum var. breviciliatum (Meisn.) Steward (1930), Polygonum punctatum var. confertiflorum (Meisn.) Fassett (1948), Polygonum punctatum var. eciliatum Small (1893), Polygonum punctatum var. ellipticum Fassett (1949), Polygonum punctatum var. leptostachyum (Meisn.) Small (1892), Polygonum punctatum var. littorale Fassett (1949), Polygonum punctatum f. longicollum Fassett (1949), Polygonum punctatum var. mexicanum Fassett (1949), Polygonum punctatum var. parviflorum Fassett (1949), Polygonum punctatum var. parvum Vict. & J.Rousseau (1940), Polygonum punctatum var. riparium (Mart.) Fassett (1949), Polygonum punctatum f. stipitatum Fassett (1946), Polygonum punctatum var. tacubayanum (Nieuwl.) Fassett (1949), Polygonum punctatum var. typicum Fassett (1949)(not validly publ.), Polygonum riparium Mart. ex Meisn. (1856)(not validly publ.)
Persicaria punctata (Elliott) Small is the accepted scientific name for the Dotted Smartweed. It was named and described as such by John Kunkel Small in Flora of the Southeastern United States in 1903. It was first named and described as Polygonum punctatum by Stephen Elliott in A Sketch of the Botany of South Carolina and Georgia in 1817.
The genus, Persicaria (L.) Mill., was named and described by Philip Miller in the fourth edition of Gardener’s Dictionary in 1754.
As of 12-31-25 when this page was last updated, Plants of the World Online lists 133 species in the Persicaria genus. It is a member of the plant family Polygonaceae with 57 genera. Those numbers could change as updates are made by POWO.

Distribution map of Persicaria punctata from Plants of the World Online. Facilitated by the Royal Botanic Gardens, Kew. Published on the Internet; http://www.plantsoftheworldonline.org/. Retrieved on December 22, 2023.
The above distribution map for Persicaria punctata is from Plants of the World Online. Areas in green are where the species is native and purple is where it has been introduced. Somehow, the updated map lost the lower end of South America… The map on the USDA Plants Database for the United States and Canada is similar, but still lists the species as Polygonum punctatum. Instead of showing a map for the species as a whole, it only has separate maps for Polygonum punctatum var. punctatum and Polygonum punctatum var. confertiflorum. The latter is listed as a synonym on POWO and, of course, the other is an autonym .
The map on iNaturalist shows where members have made observations. Anyone can join and it is a great website to confirm and share your observations.
Research has shown that Persicaria punctata is an allotetraploid species that originated from hybridization between Persicaria hydropiper and probably Persicaria hirsuta or Persicaria setacea.
THERE ARE A FEW LINKS AT THE BOTTOM OF THE PAGE FOR FURTHER READING AND TO HELP WITH A BETTER POSITIVE ID.

Persicaria punctata (Dotted Smartweed) on 8-30-19, #618-36.
Persicaria punctata (Dotted Smartweed) is one of two of the most abundant of seven Persicaria species growing on the farm. The other is Persicaria longiseta (Oriental Lady’s Thumb). Persicaria punctata is very similar to Persicaria hydropiper and can be very hard to tell them apart. I have both species here so I was able to get them straight. The main differences are the stem color (which is variable with P. hydropiper), the length of their leaves, and mainly their seed.

Persicaria punctata (Dotted Smartweed) on 8-30-19, #618-38.
Persicaria punctata leaves can grow up to 6″ in length x 3/4″ wide. This threw me because the massive colony behind the chicken house had very few leaves over 4″ long. So, initially, I thought they were Persicaria hydropiper. They all have green stems which is certainly not a distinguishing feature of P. hydropiper. So, I was confused… But how could this colony be P. punctata with such short leaves? The keywords are they can grow “UP TO” 6″ long.

Persicaria punctata (Dotted Smartweed) on 8-30-19, #618-39.
As with Persicaria hydropiper, P. punctata has flowers sparsely distributed on their raceme which can be from 2-6″ in length. I measured most of them at 6″ from the bottom of the first flower. A raceme is a long inflorescence with pedicellate flowers. GEEZ! One word leads to another. An inflorescence is the part of the plant with the flowers. I will describe the flowers more below…

Persicaria punctata (Dotted Smartweed) on 8-30-19, #618-40.
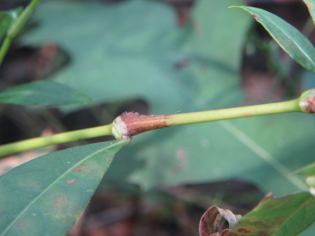
The stems of Persicaria punctata are green and glabrous (without hairs and smooth). Each leaf node has a fairly translucent ocrea (sometimes spelled ochrea) which is a sheath that surrounds the node. This ocrea is formed by the fusion of two stipules. A stipule is formed at the base of the leaf’s petiole. A petiole is a stem-like gizmo between the stem and base of the leaf. The nodes are usually reddish in color and swollen. As you will see in a photo below, the ocrea may have cilia (bristles) that fall off with age (#634-43).

Persicaria punctata (Dotted Smartweed) on 8-30-19, #618-41.
The racemes of Persicaria punctata, in my observations, can stand erect but often lean from one side or another. However, they are not “pendulous” as with P. hydropiper.

Persicaria punctata (Dotted Smartweed) leaf on 8-30-19, #618-42.

Persicaria punctata (Dotted Smartweed) raceme on 9-1-19, #620-41.
Both Persicaria hydropiper and Persicaria punctata have flowers with “punctate glandular dots”. They also supposedly have these dots on other parts as well. You can’t see them without magnification. I use a magnifying glass in front of the lens on my camera (which takes practice and patience) and I still can’t really see the “dots”. These glandular dots are distinguishing features of ONLY these two species.

Persicaria punctata (Dotted Smartweed) on 9-14-19, #631-17.
The above photo is a colony of mainly Persicaria punctata next to the twin Mulberry trees in the front pasture. If you look close you can also see Persicaria pensylvanica (Pinkweed). If you look even closer you will see a few Persicaria longiseta (Oriental Lady’s Thumb). Around the corner in front of the trees is a MASSIVE colony of P. longiseta…

Persicaria punctata (Dotted Smartweed) leaf on 9-14-19, #631-18.

Persicaria punctata (Dotted Smartweed) on 9-14-19, #631-19.
This is a better close-up shot of the flowers of Persicaria punctata. Flowers are petalless, have 5 sepals which are tightly folded and fuse together toward the lower half to 1/3.

Persicaria punctata (Dotted Smartweed) seeds on 9-16-19, #633-21.
Ahhh, the seeds! The final determining factor that distinguishes Persicaria hydropiper from Persicaria punctata is their seeds. You may have to use magnification, but the seeds of P. punctata are black and shiny while those of P. hydropiper are black to brownish and dull (not shiny). You may find brownish seeds with P. punctata as well. Of all the Persicaria seeds I have looked at, only P. hydropiper has dull seeds. What is weird, is they form seeds VERY early in their flowering stage. You can peel away the sepals at almost any time and find a seed. I have checked the seed over a several-week period and found the same results.

Persicaria punctata (Dotted Smartweed) on 9-18-19, #634-43.
I finally found P. punctata plants with cilia (bristles, hairs, whatever you want to call them) sticking out of the ocrea. The upper part of the ocrea dries, becomes brown, and falls off along with the cilia. This seems to happen fairly early. Even though I had been observing the Persicaria for a while, I didn’t see any stems with cilia until September 18. They seem to grow in spurts according to the weather. Also, if you mow them off, they will regrow fairly quickly.

Persicaria punctata (Dotted Smartweed) on 9-18-19, #634-44.
The above photo shows an older stem where the ocrea is turning brown.

Persicaria punctata (Dotted Smartweed) on 9-18-19, #634-35.
At last, I saw open flowers on a few racemes on September 18. Persicaria species are self-pollinating but most seem to be cleistogamous… That means they self-fertilize within a permanently closed flower. If their flowers do open, it seems to take forever.

Persicaria punctata (Dotted Smartweed) on 9-22-19, #635-16.
The above photo was taken on September 22 behind the chicken house and barn. This area was covered with very tall weeds and once they were mowed the Persicaria punctata took off like wildfire. In there somewhere is a small colony of P. pensylvanica (Pinkweed), a few P. longiseta (Oriental Lady’s Thumb), and several Comellina communis (Spreading Dayflower).
I really enjoyed getting to know the Persicaria species and how unique each one is. I wrote a post called Perplexing Persicaria which has links to all seven species I have observed here on the farm.
The summer of 2019 was definitely a great year for the Persicaria species. They haven’t been like that since…
I have enjoyed photographing and learning about the many wildflowers growing on the family farm and in other areas. I have grown over 500 different plants and identified over 250 species of wildflowers (most have pages listed on the right side of the blog). I am not an expert, botanist, or horticulturalist. I just like gardening, collecting plants, photographing and writing about my experience. I rely on several websites for ID and a horticulturalist I contact if I cannot figure them out. Wildflowers can be somewhat variable from location to location, so sometimes it gets a bit confusing. If you see I have made an error, please let me know so I can correct what I have written.
I hope you found this page useful and be sure to check the links below for more information. They were written by experts and provide much more information. If you can, I would appreciate it if you would click on the “Like” below and leave a comment. It helps us bloggers stay motivated. You can also send an email to me at thebelmontrooster@yahoo.com. I would enjoy hearing from you.
FOR FURTHER READING:
PLANTS OF THE WORLD ONLINE (GENUS/SPECIES)
INTERNATIONAL PLANT NAMES INDEX (GENUS/SPECIES)
TROPICOS (GENUS/SPECIES)
FLORA OF NORTH AMERICA (GENUS/SPECIES)
WORLD FLORA ONLINE (GENUS/SPECIES)
WIKIPEDIA (GENUS/SPECIES)
iNATURALIST
WILDFLOWER SEARCH
GO BOTANY
ILLINOIS WILDFLOWERS
MINNESOTA WILDFLOWERS
U.S. WILDFLOWERS
KANSAS WILDFLOWERS AND GRASSES
NOTE: The data (figures, maps, accepted names, etc.) may not match on these websites. It depends on when and how they make updates and when their sources make updates. Some websites have hundreds and even many thousands of species to keep up with. Accepted scientific names change periodically and it can be hard to keep with as well. Some of the links may use a name that is a synonym on other sites. In my opinion, Plants of the World Online by Kew is one of the most reliable and up-to-date plant databases and they make updates regularly. I make updates “at least” once a year and when I write new pages or add new photos but I do get behind. We are all a work in progress. 🙂